먼저, 좋은 소식이 아니라는 점 ㅠㅠ에 먼저 애도(?)를 표합니다. 저는 개인적으로 여행산책의 우수후기 상금 ㅋㅋ을 꼭 받고 싶은데....좋은 내용을 남겨야 우수후기에 선정이 될 것 같은데 좋은 내용이 아니라서 ....고민이 되네요. (담당자님...좋은 내용 아니라서 좀 그러면 지우셔도 괜찮아요 저는 상금이 꼭 받고 싶거든요 ㅋㅋㅋㅋ (집착집착)ㅋㅋㅋㅋㅋㅋㅋ)
많은 분들이 궁금해 하실 것 같은 빌라멘두의 수중환경! 빌라멘두는 수중환경으로 유명한 곳이죠. 엘니뇨가 2년전인가???(정확하게는 모르겠네요) 몰디브를 강타하기 전까지만 해도 빌라멘두의 산호는 정말 아름다웠다고 들었습니다.
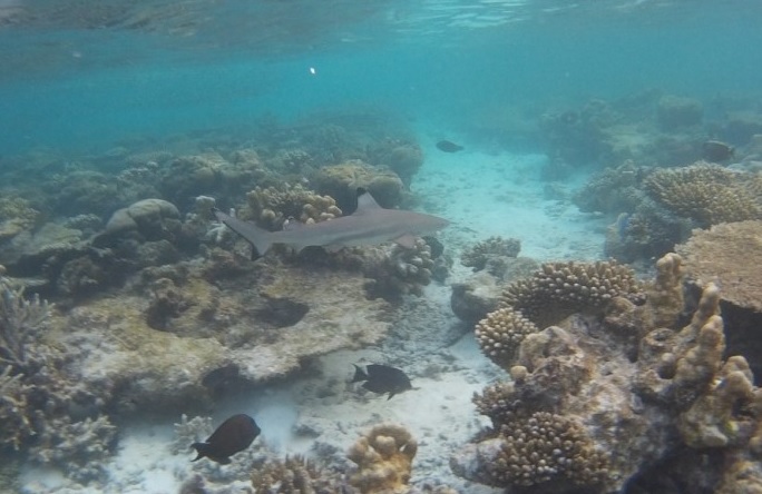
그렇지만 현재는 안타깝게도, 살아있는 산호는 기대 하시지 않는 것이 좋을 것 같습니다. 저는 스노클링과 다이빙 둘 다 했었었는데요, 스노클링으로는 95%의 산호가 회색빛(회색빛 산호는 죽은 산호입니다)이었고 군데군데 이끼가 끼어있어서 황폐한 사막 그 자체였습니다.
간혹 가다가 살아있는 산호가 있었는데 정말 희박한 확률이었습니다. 저는 체험 스쿠버다이빙을 했는데요, 다이빙으로는 살아있는 산호를 아주 약간 매우 조금 더 볼 수 있었습니다.
다이빙 강사 말로는 70% 정도의 산호가 죽었고 아직 30%의 산호는 살아있다고 했는데, 그것은 섬 전체를 꼼꼼하게 둘러봤을 때를 말하는 것 같고 일반적인 스노클링/ 체험 다이빙 수준으로는 95%가 죽었다고 보시는게 좋을 것 같습니다.
다이빙 강사에게 언제부터 이렇게 산호가 황폐화 되었냐고 물어보았는데, 2년전부터 이렇게 심해졌고, 앞으로 후손들은 남은 30%의 산호조차 보기 힘들어지지 않겠냐고(점점 더 심해지고 있어서) 말해서 같이 안타까워했습니다. 죽어있는 산호의 형태를 보니 얘네가 살아있었을 때는 정말 숨막히게 예뻤을 것 같은데..정말 너무너무 안타까웠습니다.
저는 만타&터틀 익스커션에 참가했다가 파도가 심하게 치는 바람에 거북이 보러 가는 대신 이웃 섬쪽에 리프 스노클링을 하러 갔었는데요, 이웃 섬의 리프도 마찬가지로 산호가 다 죽어있었습니다. 빌라멘두 만의 문제가 아니라 그냥 전반적으로 사우스 아리아톨의 산호가 전멸했다고 보여집니다. 노스 아리아톨 쪽은 또 어떤지 모르겠네요.
그런데 신기한 것은, 그렇다고 물고기가 없지는 않았습니다. 제 얕은 상식으로는 산호가 죽으면 물고기도 떠날 것 같은데..의외로 물고기는 많았습니다.
아직은 어종도 다양하고 절대적인 숫자도 많으니, 스노클링으로 충분히 수족관에 온 그 느낌을 즐기실 수 있습니다.
작은 크기의 상어(이름은 모르겠네요. 베이비 샤크인가?)는 정말 많이 봤고요, 스팅레이도 두 번 봤습니다.
심지어 스노클링 안하셔도 워터빌라에서 내려다만 봐도 가끔 물고기들이 놀러오고요, 워터빌라 가는 길(나무 데크)에서 가만 내려다만 봐도 물고기 떼가 엄청납니다.
희안하게 워터빌라 가는 길에 매일매일 물고기 떼가 모여있더라구요.
남편이랑 농담으로 쟤네 여기 출근하는 것 같다고..아침 되면 출근했다가 저녁되면 퇴근하고 없었거든요.
물고기 떼가 모여있다 보니 걔네 먹으러..상어도 매일매일 옵니다. 해파리도 여기서 봤어요.
해파리가 지나갈 때 물고기 떼가 홍해처럼 갈라지는게 또 장관이었습니다.
아마 저처럼 몰디브가 처음이시고, 이런 산호밭이 처음이신 분들은 그냥 여전히 수중환경이 좋다고 느끼며 즐기다가 돌아가실 수 있을 것 같아요. (저는 사실 빌라멘두 너무너무 좋았어요)
아무튼 결론은, 빌라멘두의 산호는 황폐한 사막 수준이지만 물고기는 여전히 많다, 입니다!



















소중한 후기 감사합니다^^