사파리 아일랜드의 꽃인 수중환경
가오리는 물밖에서 봤었고 상어,거북이는 스노쿨링 하면서 봤습니다
워터빌라쪽엔 부채산호들이 많구요 그 위로 지나가지 마시고 비치쪽으로 나가면 노란물통이 둥둥떠있어요
그 밧줄을 따라가면 급격한 경사를 만날수있는데 거기가 메인입니다 꼭 가세요 가야합니다
저두 첫날 들가자마자 곰치보고 너무 무서워서 하겠나 싶었는데
나중에는 저 혼자서 깊은 물속 구경하고 다녔어요 보고있으면 무서움이 다라날 정도록 정말이뻐요
보라카이, 세부랑은 비교할 수 없을 정도였습니다







방수팩에 넣어 찍은거라 사진은 아쉽지만 ㅜ
사진에는 못 담을 그런 모습들이었습니다 해가 비칠때면 바다가 더 이뻤구요
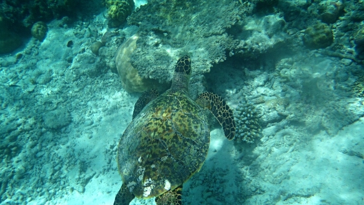
저 거북이는 쉬어갈려고 비치로 밧줄따라 들어가는 길에 봤습니다
정말 컷고 바로 밑으로 지나가더라고요 사람도 안무서워하구,,
물고기는 정말 치여댕깁니다 많아요~ 정말 재밌었습니다




도니를 타고 나간 반나절 스노쿨링입니다
4박을 하게되면 무료로 진행되구요
저희는 아침에 전날 비바람땜에 배에 문제가 생겨서 못나갔다가 오후에 나갔어요
도니안에는 침대도 있고 주방도 있어요
다른바다로 나가니 좋더라구요
거기서 했던 스노쿨링은 사파리가 워낙좋아서 별감흥이 없었습니다
그래도 오늘길에 쌍무지개봤어요!! 또 비가 내렸거든요 ㅎㅎ

사진에는 잘 아보이지만
정말 선명하게 끝과 끝이 보였어요
마지막날 로맨틱 디너가 진행되었는데 비가오는 바람에 레스토랑 안에서 했어요 ㅜ
고기는 별로 였습니다ㅜㅜ


101호 비치빌라 뷰입니다 나무가.ㅎㅎㅎㅎ 개미도 다니지만 방안에는 안보였어요
박쥐도 날라댕기구요 도마뱀 이름모를 새들도 종종보였어요

다이버 있는쪽에서 찍은사진입니다 ㅎ 선박장 같던데 옆에는 세미워터빌라가 있구요 조용하니 사진찍기에도 좋았습니다

해변쪽에 보이는 상어구요
낭떠러지 쪽은 우리가 흔히 상어라 부르는 애들이 다녀요 ㅎㅎㅎ

일명 몰디브새라고 하더라고요 워터빌라 끝쪽에서 자고 있던데 ㅎㅎㅎㅎ귀엽네요
사파리아일랜드는 4성급 리조트입니다
럭셔리 하지 않지만 수중환경을 중요시 여긴다면 목록에 넣어도 좋을만큼 매력적이고 라군도 이뻐요
비치빌라는 128번쪽이 좋았어요
칵테일은 사파리썬, 사파리퀸이였나? 그게 제 입엔 맛있더라구요
영어는 기본만 알면 어느정도 지낼수있습니다
저희도 영어는 지지리 못하는데 좀 답답한점이 있어도 폰에 사전같은거 있으면 이용하세요
이상 즐거운 몰디브 여행후기였습니다~














소중한 후기 감사합니다^^