할라벨리 이지리빙패키지에는 익스커션1회를 무료로 이용할수있어요
스노쿨링을 사랑하는 저와 낭군은 몇가지 익스커션중에서
스노쿨링 익스플로레이션을 선택하기로 했어요!

익스커션을 이용할때는 이 바우처를 꼭 가지고 다녀야해서 꼬깃꼬깃

몰디브 할라벨리 리조트의 익스커션은 매주 시간이 바뀌어요
도착하는날 나눠주는 스케쥴표를 보고 원하는 익스커션이 있을경우
최대한 빠르게 예약하는게 좋아요 :)
included 라고 표시되어 있는부분만 무료로 이용할수있기때문에
도착하는날 스케줄을 짜서 미리 예약하는걸 추천해요

예약하면 하루전날 레터가 옵니다
내일 몇시에 예약되었으니 와라잉? 이런내용

스노쿨링 장비는 다이빙센터에서 빌려줍니당 :)
오리발과 스노쿨링 장비를 빌려주는데
워터빌라의 개인비치에서도 스노쿨링을 할수있으니 도착하는 당일날 빌려서 이용하는 센스!
반납은 체크아웃하기전날 5시까지 해줘야해요

다이빙 센터 직원들 사진와 프로필이 걸려있어요

설명을 들으며 사인하는 낭구니~

스노쿨링 장비는 깔끔하게 관리되고 있는듯 :)

그리고 오리발
잘맞는지 신어보기 ㅎㅎㅎ

드디어 스노쿨링을 하러 꼬!
저 보트를 타고 몰디브의 망망대해를 가봅니다~!!

서리방지를 위해 스노쿨링 안경에 김서림 방지제를 칙칙 뿌려 헹궈주는 직원분들
10팀정도 참가했는데
한국인은 저희밖에 없었어요

직원 한명에 2~3 쌍을 전담해서 드디어 스노쿨링 시~작!
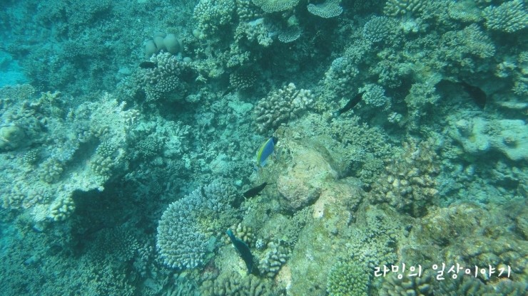
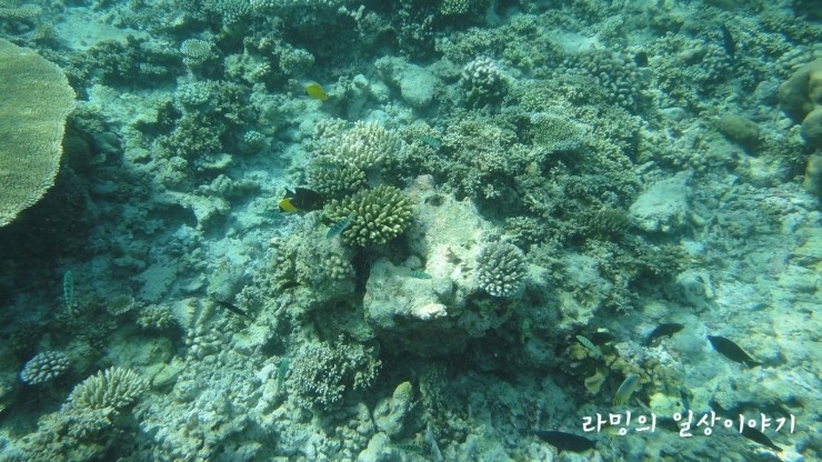
우선 이름모를 붕어(?)한마리 찍고
뒤돌아보는 순간
물고기 떼가
이건 뭐 그물던지면 다 잡혀올라올꺼같은 ㅋㅋㅋㅋ
물고기반 물반
너무 떼지어 가니까 으앙 무섭다잉 
낚시배가 왔다면 대박일텐데

물고기 너무 많아
내가 잡혀먹을꺼같아 
무섭던 물고기들을 어디론가 사라지고
이번엔 열대어들이 슝슝 지나가요

금방이라도 산호에 발이 닿을꺼같던 곳을 조금만 지나가면
끝이 보이지 않는 바닷속
스노쿨링을 좋아하면서도 이런걸 보면 아찔해져서는 다시 뒤돌아서 산호쪽으로 ㅋㅋ

여유롭게 물장구 착착착
혼자 여유를 부리고 있을때쯤 다이빙센터 직원이 저를 막 끌어 당깁니다
아 나 이것좀 한가롭게 감상한다는데
왜 힘든곳으로 또 끌고갈려는거야
피곤하다 피곤해~
물속에서도 스노쿨링 입에 끼고 궁시렁 대던 그때

바닷거북이가 뙇!
바닷거북이 +_+
바닷거북이와 함께 헤엄을 
요로코럼 가까이에서도 만나구
귀여운 등껍질에 반해
아까의 피곤함은 잊고
바닷거북이만 졸졸졸
어디가니 이리오너라

바닷거북이의 스토커처럼

따라다닐꺼야
저멀리 도망(?) 가는 거북이..
바닷거북이를 한참 감상하고
중간크기의 상어도 출몰했는데
겁먹고 사진을 못찍었어요
막 따라가지 못하고 뒤로 멀찌감치 떨어져서 봤답니다 ㅋㅋㅋ

약 2~3시간 정도의 스노쿨링을 마치고 떡실신되어 돌아오는길에는 사진을 못찍었네요 :)
몰디브 바닷속에서의 스노쿨링
쵝오!














RE : 알로하~ 마냥 좋았던 하와이 6박8일♥ -마우이편-